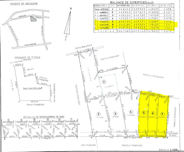
Compraventasanjuan & SIMI SRL, vende tres lotes contiguos de 2450 m2 aproximadamente cada uno. Los lotes están nivelados, cuentan con riego de hidráulica, están forestados con álamos, y cuentan con servicios de Luz, Agua Potable, y Cloaca.
Muy buena ubicación, ya sea para un proyecto de cabañas, o para desarrollos de galpones para minería.
Valores: U$S 18.000 el Lote 7.
U$S 15.000 Lote 6.
U$S 10.000 Lote 5
Compraventasanjuan & S.I.M.I. S.R.L.
Inmobiliaria - Constructora - Desarrollos Inmobiliarios
Management - Fideicomisos, entre otros rubros.
Domicilios: Aberastain 345 Sur, Altos, Oficina 4, Capital, y
Provincia de San Juan. C.P. internacional: J5465AVN
Tel: 1139576585
Email: consultas@compraventasanjuan.net
AGREGAMOS ESTE VIDEO EL 21 DE ENERO 2025 PARA MOSTRAR LA MEJORA QUE SE REALIZO EN EL LOTEO.

0 comments:
Publicar un comentario
Por favor, haga su consulta; deje su Nombre, E-Mail o numero telefónico. Será respondida en breve. Gracias